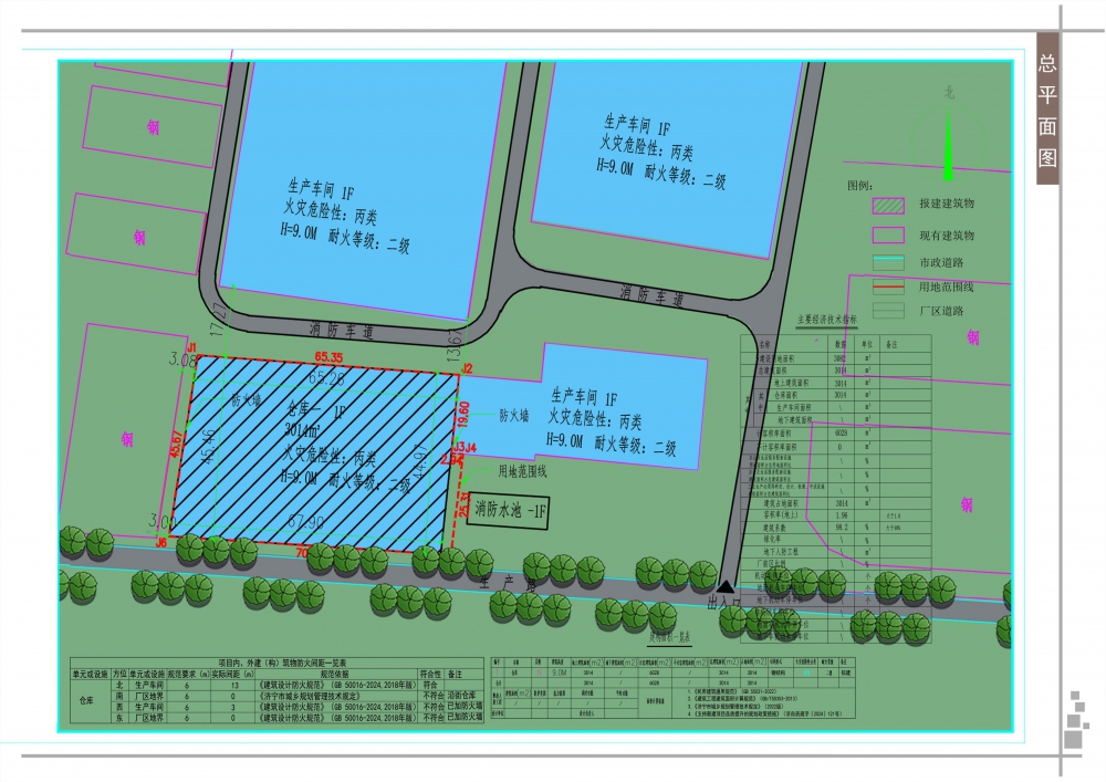
申请人:梁山县水泊塑料厂
项目名称:梁山县水泊塑料厂年产4000吨农用食品包装膜项目
项目地址:梁山县梁山街道办事处关庄村水泊大街路东
建设规模:总建设规模3014㎡(地上),计容面积6028㎡。

免责声明:本站文章内容仅供参考,不构成投资建议,本站转载此文出于传递信息之目的,并不意味着赞同其观点或证实其描述。如本网站内容涉及版权问题,请原作者持相应版权证明与本网站联系;凡原创稿件不经同意不得转载;欢迎爆料/提供新闻线索请联系小编。

申请人:梁山县水泊塑料厂
项目名称:梁山县水泊塑料厂年产4000吨农用食品包装膜项目
项目地址:梁山县梁山街道办事处关庄村水泊大街路东
建设规模:总建设规模3014㎡(地上),计容面积6028㎡。

免责声明:本站文章内容仅供参考,不构成投资建议,本站转载此文出于传递信息之目的,并不意味着赞同其观点或证实其描述。如本网站内容涉及版权问题,请原作者持相应版权证明与本网站联系;凡原创稿件不经同意不得转载;欢迎爆料/提供新闻线索请联系小编。

免责声明:本站所刊载的所有的房源信息、活动信息、资料及图片均由网站用户提供,其真实性、合法性由信息发布人负责,本网站不声明或保证其内容之正确性或可靠性。所有信息请与经纪公司、房产公司、家装公司、业主个人等确认为准!